Oferta a fost retrasa
Teren pentru CASA de vanzare in Dumbravita Vest
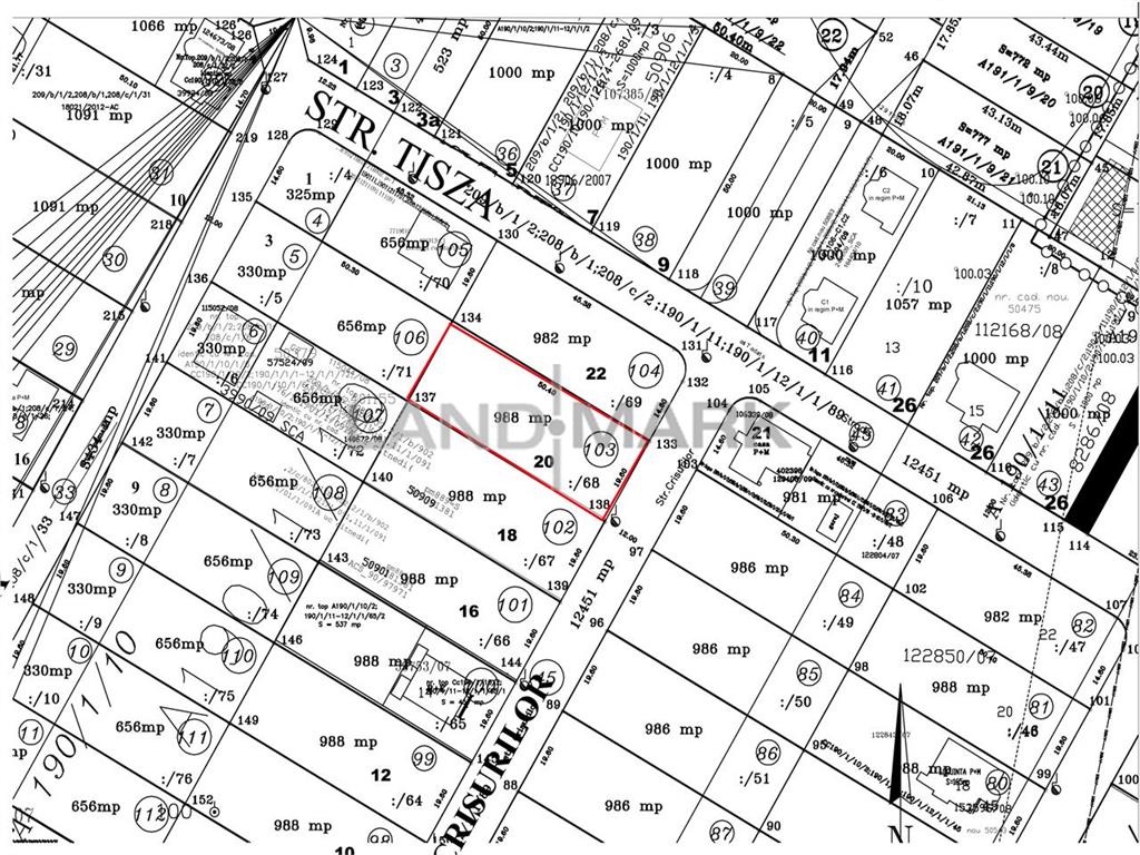
Descriere teren
LANDMARK ofera spre vanzare teren Intravilan Construibil in zona DUMBRAVITA VEST, pe strada CRISURILOR, avand o suprafata de 988 mp si are 1 front stradal de 19.6 ml . Beneficiaza de toate utilitatile, si strada asfaltata cu servitute de trecere. Pretul este 135000 euro Id: 208298
ID Oferta: 208298
| Pret Vanzare: | € 135,000 +TVA |
|---|---|
| Pret/mp: | € 137 |
| Zona: | DUMBRAVITA |
| Strada: | CRISURILOR DUM |
| Localizare: | Intravilan |
| Suprafata: | 988 mp |
| Fronturi: | 1 |
| Deschidere: | 19.6 ml |
| Tip teren: | Construibil |
| Acces teren: | Masina |
| Strazi: | Asfaltate |
| Pretabil: | Case / vile |
| Vecinatati: | Benzinarie |
| Numar de afisari: | 125 |
Caracteristici generale
- Regim Inaltime: D+P+1E+M
- POT: 35
- Utilitati: Apa, Cablu TV, Canalizare, Curent, Gaz, Telefon
- Distanta utilitati: In fata terenului
- Alte caracteristici: Iluminat stradal



