Oferta a fost retrasa
Teren de vanzare in zona Ghiroda dupa pod
Descriere teren
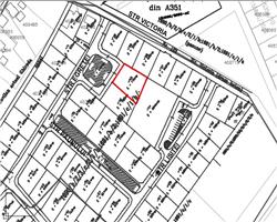
LANDMARK ofera spre vanzare teren Intravilan in zona GHIRODA dupa pod, pe strada EGRETEI, avand o suprafata de 791 mp cu o deschidere de 22.5 ml. Terenul dispune de curent, apa, canal, iar strazile sunt pietruite. Pretul este 115000 euro. ID intern: 210753
ID Oferta: 210753
| Pret Vanzare: | € 115,000 |
|---|---|
| Pret/mp: | € 145 |
| Zona: | LUGOJULUI-GHIRODEI |
| Strada: | EGRETEI GHIRODA |
| Localizare: | Intravilan |
| Suprafata: | 791 mp |
| Fronturi: | 1 |
| Deschidere: | 22.5 ml |
| Tip teren: | Construibil |
| Strazi: | Pietruite |
| Pretabil: | Case / vile |
| Numar de afisari: | 1459 |
Caracteristici generale
- Regim Inaltime: S+P+1E+M+Pod
- POT: 35
- CUT: 1
- Utilitati: Apa, Canalizare, Curent
- Distanta utilitati: In fata terenului
- Alte caracteristici:



