Oferta a fost vanduta/inchiriata
Oferta a fost retrasa
Teren de servicii de vanzare in zona Mosnita noua lipit de sat
Descriere teren
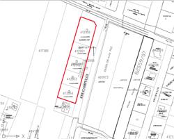
LANDMARK ofera spre vanzare teren Intravilan in zona MOSNITA NOUA, pe strada CAMPULUI MOSNITA, avand o suprafata de 3629 mp cu o deschidere de 28 ml. Terenul este parcelat in 5 parcele si dispune de curent, iar strada este pietruita. Pretul este 30 euro/mp negociabil. ID intern: 204541.
ID Oferta: 204541
| Pret Vanzare: | € 110,000 |
|---|---|
| Pret/mp: | € 30 |
| Zona: | MOSNITA NOUA |
| Strada: | CAMPULUI MOSNITA |
| Localizare: | Intravilan |
| Suprafata: | 3629 mp |
| Fronturi: | 2 |
| Deschidere: | 28 ml |
| Tip teren: | Construibil |
| Strazi: | Pietruite |
| Pretabil: | Case / vile |
| Numar de afisari: | 11603 |
Caracteristici generale
- Utilitati: Curent
- Distanta utilitati: In fata terenului
- Alte caracteristici:



