Teren pentru DEZVOLTARE de vanzare in zona Ghiroda
Descriere teren
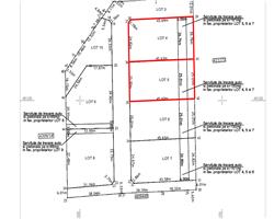
LANDMARK ofera spre vanzare 2 terenuri pentru BLOC, in zona LUGOJULUI-GHIRODEI, pe strada CAMPULUI, avand o suprafata de 1140 mp cu o deschidere de 25 ml si 1219 mp cu 2 deschideri de 26.7 ml si 46.5 ml. Terenul beneficiaza de PUZ pentru BLOC in regim de inaltime S+P+3E cu POT=35% si CUT=1.4 si dispune de curent, iar strada este pietruite. Pretul este 283000 euro + TVA , 120 euro/mp + TVA . ID intern: 206415.
ID Oferta: 206415
| Pret Vanzare: | € 283,080 +TVA |
|---|---|
| Pret/mp: | € 120 |
| Zona: | LUGOJULUI-GHIRODEI |
| Strada: | CAMPULUI GHIRODA |
| Localizare: | Extravilan |
| Suprafata: | 1140 mp |
| Fronturi: | 1 |
| Deschidere: | 25 ml |
| Tip teren: | Construibil |
| Strazi: | Pietruite |
| Pretabil: | Bloc |
| Numar de afisari: | 596 |
Caracteristici generale
- Regim Inaltime: S+P+3E+Pod
- POT: 35
- CUT: 1.4
- Utilitati: Curent
- Distanta utilitati: La distanta
- Alte caracteristici:





