Oferta a fost vanduta/inchiriata
Oferta a fost retrasa
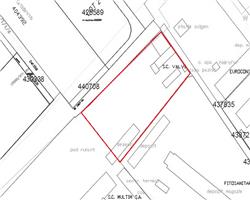
Teren INDUSTRIAL Calea SAGULUI
Descriere teren
LANDMARK ofera spre vanzare teren INDUSTRIAL in zona SAGULUI, pe strada PROFESOR ANTON KATHREIN, avand o suprafata de 2885 mp cu doua deschideri de 34 ml respectiv 87 ml. Terenul dispune de toate utilitatile, iar strada este asfaltata. Pretul este 87 euro/mp + TVA negociabil. ID intern: 204690.
ID Oferta: 204690
| Pret Vanzare: | € 250,000 +TVA |
|---|---|
| Pret/mp: | € 86 |
| Zona: | FRAIDORF |
| Strada: | KATHREIN ANTON PROF |
| Localizare: | Intravilan |
| Suprafata: | 2885 mp |
| Fronturi: | 2 |
| Deschidere: | 34 ml |
| Tip teren: | Construibil |
| Strazi: | Asfaltate |
| Pretabil: | Hala / Depozit |
| Numar de afisari: | 39669 |
Caracteristici generale
- Utilitati: Apa, Canalizare, Curent, Gaz
- Distanta utilitati: In fata terenului
- Alte caracteristici:



