Teren de vanzare pentru BENZINARIE pe Calea Torontalului
Descriere teren
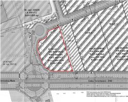
LANDMARK ofera spre vanzare teren Intravilan in zona TORONTALULUI - PITT, pe CALEA TORONTALULUI , avand o suprafata de 6123 mp cu 3 deschideri de 70 ml, 68 ml, si 68 ml. Terenul dispune de canalizare, apa, telefon, gaz, curent, cablu tv, iar strada este asfaltata, si principala. Pretul este 490000 euro+TVA, 80 euro/mp +TVA . ID intern: 210596.
ID Oferta: 210596
| Pret Vanzare: | € 490,000 +TVA |
|---|---|
| Pret/mp: | € 80 |
| Zona: | TORONTAL |
| Strada: | TORONTALULUI CALE |
| Localizare: | Intravilan |
| Suprafata: | 6123 mp |
| Fronturi: | 3 |
| Deschidere: | 70 ml |
| Tip teren: | Construibil |
| Acces teren: | Autobuz, Masina |
| Strazi: | Asfaltate, Strada Principala |
| Pretabil: | Benzinarie |
| Numar de afisari: | 19879 |
Caracteristici generale
- Regim Inaltime: S+P+4E+M+Pod
- POT: 60
- CUT: 1.2
- Utilitati: Apa, Cablu TV, Canalizare, Curent, Gaz, Telefon
- Distanta utilitati: In fata terenului
- Alte caracteristici:



